Architecture

08/31/06

Home
Architecture
Gallery 2
Photo Gallery
Construction
Chronology
Erosion
Flood Factors
Stormwater Pollution

 

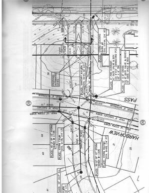
Engineering Drawings of Stormwater Drains 

These drawing were scanned from the architectural prints of the condominium complex filed with Oshtemo Township.  The drawing were purchased in May, 2006. 

Click on the images to enlarge.

Our concept of stormwate flow.

Water from inside the complex flows to the entrance, down the storm drains to the pipe under the road.

Drawing shows existing storm drains and elevation levels.

The slope sends water to the entrance.

Home | Architecture | Gallery 2 | Photo Gallery | Construction | Chronology | Erosion | Flood Factors | Stormwater Pollution

This site was last updated 08/31/06